Bekanntmachungen Bauleitplanung
Bekanntmachung Bauleitpläne § 4a Abs. 4 BauGB
Der Inhalt der ortsüblichen Bekanntmachungen in Bauleitplanverfahren nach § 3 Absatz 2 Satz 2 BauGB und die nach § 3 Absatz 2 Satz 1 BauGB auszulegenden Unterlagen sind zusätzlich in das Internet einzustellen. Aktuelle Verfahren finden Sie hier.
Amtliche Bekanntmachung 08.05.2024
Bauleitplanung der Stadt Kirtorf, ST Lehrbach
Bebauungsplan „Freiflächenphotovoltaik Eichstück“, Gemarkung Lehrbach
sowie Änderung des Flächennutzungsplans für diesen Bereich im Parallelverfahren
Bekanntmachung des Aufstellungsbeschlusses gem. § 2 Abs. 1 Baugesetzbuch (BauGB) und der frühzeitigen Beteiligung der Öffentlichkeit gem. § 3 Abs. 1 BauGB in der Zeit 17.05.2024 bis einschließlich 18.06.2024
I Bekanntmachung des Aufstellungsbeschlusses gem. § 2 Abs. 1 BauGB
Die Stadtverordnetenversammlung der Stadt Kirtorf hat am 25.04.2024 gemäß § 2 Abs.1 BauGB die Aufstellung des Bebauungsplans „Freiflächenphotovoltaik Eichstück“, Gemarkung Lehrbach und die Änderung des Flächennutzungsplanes im Parallelverfahren für diesen Bereich beschlossen. Der Aufstellungsbeschluss für den Bebauungsplan und die Flächennutzungsplanänderung wird hiermit gemäß § 2 Abs.1 Satz 2 BauGB ortsüblich bekannt gemacht.
II Räumlicher Geltungsbereich
Der geplante, ca. 12,5 ha große Geltungsbereich nördlich des Stadtteils Lehrbach umfasst eine südliche Teilfläche von Flurstück. 35/1 in der Flur 2 der Gemarkung Lehrbach. Der Geltungsbereich ist der angehängten Übersichtskarte zu entnehmen.
III Anlass und Ziel
IV Frühzeitige Beteiligung der Öffentlichkeit gem. § 3 Abs. 1 BauGB
Die Stadtverordnetenversammlung der Stadt Kirtorf hat in ihrer Sitzung am 25.04.2024 die frühzeitige Beteiligung der Öffentlichkeit gem. § 3 Abs. 1 BauGB und die frühzeitige Beteiligung der Behörden und sonstigen Träger öffentlicher Belange gem. § 4 Abs. 1 BauGB für den Bebauungsplan „Freiflächenphotovoltaik Eichstück“, Gemarkung Lehrbach sowie die Änderung des Flächennutzungsplans für diesen Bereich im Parallelverfahren beschlossen.
Gemäß § 2 Abs. 4 und § 2a BauGB wird eine Umweltprüfung für die Bauleitplanverfahren durchgeführt, in der die voraussichtlich Umwelteinwirkungen ermittelt und in einem Umweltbericht beschrieben und bewertet werden.
Gemäß § 3 Abs.1 BauGB (frühzeitige Beteiligung der Öffentlichkeit) werden der Planvorentwurf des Bebauungsplanes und der Flächennutzungsplanänderung, jeweils einschließlich Begründung mit Umweltbericht in der Zeit vom 17.05.2024 bis einschließlich 18.06.2024 im Internet auf der Homepage der Stadt Kirtorf unter https://www.stadt-kirtorf.de/bekanntmachung-bauleitplanung veröffentlicht. Zusätzlich zur Veröffentlichung im Internet erfolgt eine öffentliche Auslegung der oben genannten Unterlagen in der Stadtverwaltung Kirtorf, Neustädter Straße 10-12, 36320 Kirtorf, Hauptamt, Zimmer 2, während der allgemeinen Dienststunden der Verwaltung sowie nach Vereinbarung. Während der oben genannten Dauer der Veröffentlichungsfrist können Stellungnahmen abgegeben werden.
Es wird darauf hingewiesen, dass Stellungnahmen elektronisch übermittelt werden sollen, bei Bedarf aber auch auf anderem Weg, zum Beispiel schriftlich, in Textform oder zur Niederschrift, abgegeben werden können. Die elektronische Abgabe der Stellungnahmen ist zum Beispiel unter der E-Mail-Adresse planung@buero-rupp.de möglich.
Den Beteiligten wird nach Prüfung der vorgebrachten Anregungen das Ergebnis der Entscheidung mitgeteilt. Auch Kinder und Jugendliche sind Teil der Öffentlichkeit.
Im Zusammenhang mit dem Datenschutz weisen wir ausdrücklich darauf hin, dass ein Bebauungsplanverfahren ein öffentliches Verfahren ist und daher in der Regel alle dazu eingehenden Stellungnahmen in öffentlichen Sitzungen beraten und entschieden werden, sofern sich nicht aus der Art der Einwände oder der betroffenen Personen ausdrückliche oder offensichtliche Einschränkungen ergeben. Soll eine Stellungnahme nur anonym behandelt werden, ist dies auf derselben eindeutig zu vermerken.
Es wird darauf hingewiesen, dass die Vorbereitung und Durchführung von Verfahrensschritten nach §§ 2a bis 4a BauGB einem Dritten übertragen wurde. Es wird darauf hingewiesen, dass diese Bekanntmachung auch auf der Internetseite der Stadt Kirtorf unter https://www.stadt-kirtorf.de/bekanntmachung öffentlich bekannt gemacht wird.
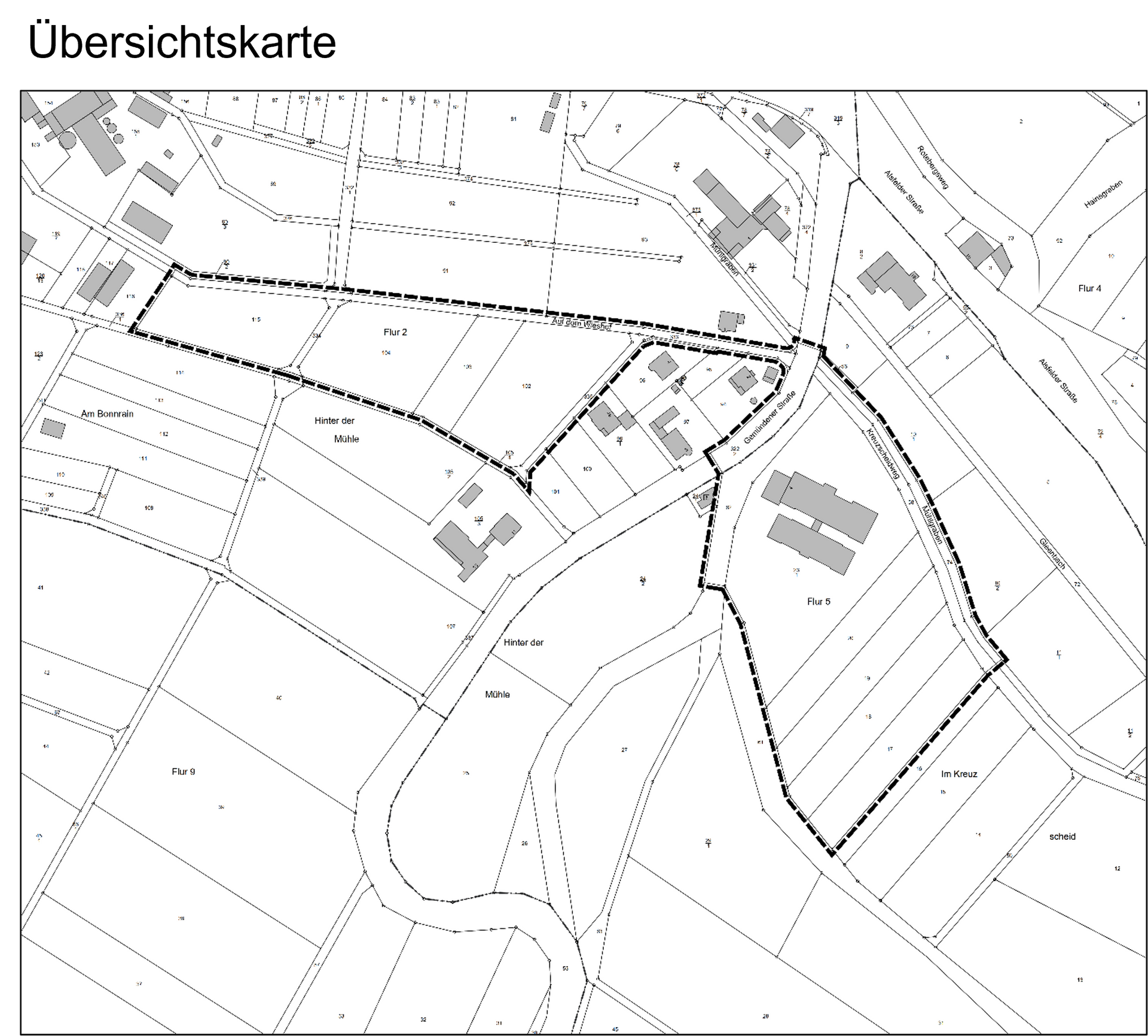
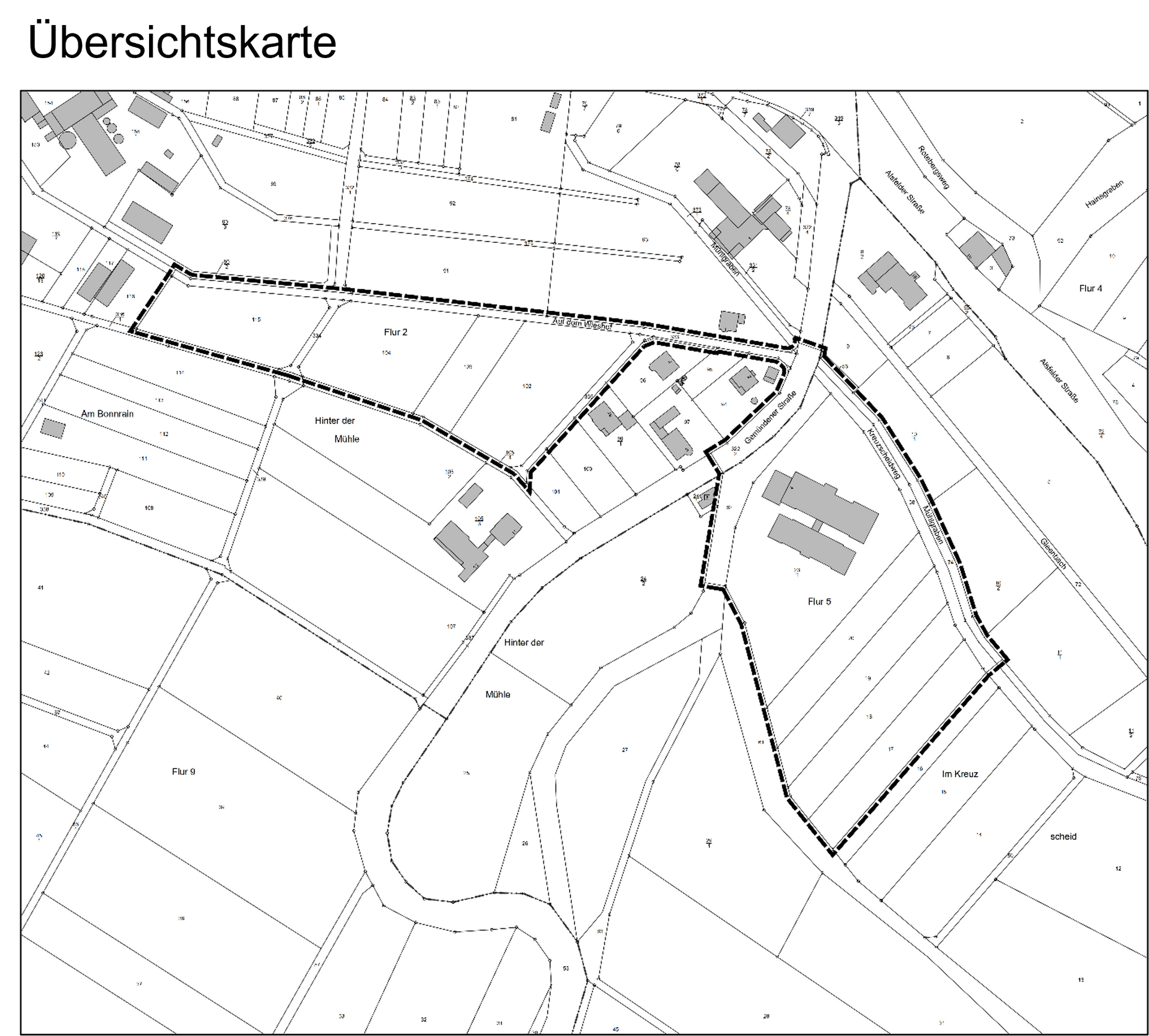
Bauleitplanung der Stadt Kirtorf
Hier: Geltungsbereich Bebauungsplan „Freiflächenphotovoltaik Eichstück“, Gemarkung Lehrbach
Der Übersichtsplan ist Bestandteil der Bekanntmachung.
Übersichtsplan genordet, ohne Maßstab

Artenschutzrechtl. Vor -Einschätzung
Datei herunterladenB-Plan Eichstück Vorentwurf
Datei herunterladenB-Plan Begründung Umweltbericht
Datei herunterladenÄnderung FNP-Begründung Umweltbericht
Datei herunterladenAmtliche Bekanntmachung
Bauleitplanung der Stadt Kirtorf, Kernstadt
Bebauungsplan „Gemündener Straße - Kreuzscheidweg“ und „Auf dem Wieshof“ – 2. Änderung und Erweiterung sowie die Änderung des Flächennutzungsplanes in diesem Bereich
Bekanntmachung des Aufstellungsbeschlusses gemäß § 2 Abs.1 Satz 2 BauGB und der frühzeitigen Beteiligung der Öffentlichkeit gemäß § 3 Abs.1 BauGB
(1) Die Stadtverordnetenversammlung der Stadt Kirtorf hat am 29.02.2024 gemäß § 2 Abs.1 BauGB (Baugesetzbuch) die Aufstellung des Bebauungsplanes „Gemündener Straße - Kreuzscheidweg“ und „Auf dem Wieshof“ – 2. Änderung und Erweiterung in der Kernstadt sowie die Änderung des Flächennutzungsplanes in diesem Bereich beschlossen.
(2) Der räumliche Geltungsbereich liegt am südöstlichen Siedlungsrand der Kernstadt, westlich und östlich der Gemündener Straße (L 3071). Er erfasst die Flurstücke 17-20, 23/1, 58tlw., 62tlw. und 74tlw. in der Flur 5 sowie die Flurstücke 93tlw., 96tlw., 102-104, 115, 322/2tlw, 333tlw., 334, 335 und 373/1tlw. in der Flur 2, alle Gemarkung Kirtorf. Der Geltungsbereich ist der beiliegenden Übersichtskarte zu entnehmen.
(3) Planziel ist für den östlichen Teilbereich die Erweiterung der Fläche für den Gemeinbedarf mit der Zweckbestimmung Senioreneinrichtung/ Betreutes Wohnen. Der Bedarf an weiteren Seniorenwohnungen ist gegeben, so dass die bestehende Einrichtung erweitert werden soll. Gleichzeitig wird die bestehende Bebauung erfasst und das bisher ausgewiesene Baufenster angepasst. Planziel im westlichen Teilbereich ist die Schaffung von Bauplätzen, insbesondere von Wohnbauplätzen. Im Anschluss an die bestehende Siedlungsstruktur werden hier ein Dörfliches Wohngebiet i.S.d. § 5a BauNVO sowie ein Allgemeines Wohngebiet i.S.d. § 4 BauNVO ausgewiesen.
Die Planziele gelten auch für die Änderung des Flächennutzungsplanes, welche im Parallelverfahren gemäß § 8 Abs. 3 BauGB durchgeführt wird.
(4) Der Aufstellungsbeschluss für den Bebauungsplan und die Flächennutzungsplanänderung wird hiermit gemäß § 2 Abs.1 Satz 2 BauGB ortsüblich bekannt gemacht.
(5) Gemäß § 2 Abs. 4 und § 2a BauGB wird eine Umweltprüfung für die Bauleitplanverfahren durchgeführt, in der die voraussichtlich Umwelteinwirkungen ermittelt und in einem Umweltbericht beschrieben und bewertet werden. Die Unterrichtung der Öffentlichkeit gemäß § 3 Abs.1 BauGB erfolgt gemäß den Vorgaben des BauGB (Baugesetzbuch) und dient im Hinblick auf die Ermittlung des erforderlichen Umfangs und Detaillierungsgrades der Umweltprüfung nach § 2 Abs.4 BauGB.
(6) Gemäß § 3 Abs.1 BauGB (frühzeitige Beteiligung der Öffentlichkeit) werden der Planvorentwurf des Bebauungsplanes und der Flächennutzungsplanänderung, jeweils einschließlich Begründung, sowie der Umweltbericht in der Zeit vom
25.03.2024 – 30.04.2024 einschließlich
im Internet auf der Homepage der Stadt unter https://www.stadt-kirtorf.de/bekanntmachung-bauleitplanung veröffentlicht. Zusätzlich zur Veröffentlichung im Internet erfolgt eine öffentliche Auslegung der oben genannten Unterlagen in der Stadtverwaltung Kirtorf, Neustädter Straße 10-12, 36320 Kirtorf, Hauptamt, Zimmer 2, während der allg. Dienststunden der Verwaltung sowie nach Vereinbarung. Während der oben genannten Dauer der Veröffentlichungsfrist können Stellungnahmen abgegeben werden.
Es wird darauf hingewiesen, dass Stellungnahmen elektronisch übermittelt werden sollen, bei Bedarf aber auch auf anderem Weg, zum Beispiel schriftlich, in Textform oder zur Niederschrift, abgegeben werden können. Die elektronische Abgabe der Stellungnahmen ist zum Beispiel unter der E-Mail-Adresse beteiligung@fischer-plan.de möglich.
(7) Gemäß § 4b BauGB ist das Planungsbüro Fischer aus 35435 Wettenberg mit der Durchführung des Verfahrens nach BauGB beauftragt.





















